Diseases of Toor Daal / अरहर के रोग (तूर दाल)

जीवाणु जनित रोग -> बैक्टीरियल लीफ स्पॉट या स्टेम कैंकर, हेलो ब्लाइट
कवक जनित रोग -> सर्कोस्पोरा लीफ स्पॉट, अल्टेरनारिया ब्लाइट, पाउडरी मिल्ड्यू, फ़यटोफ्थोरा ब्लाइट, फुसरियम विल्ट  
विषाणु जनित रोग -> अरहर मोज़ेक वायरस, येलो मोज़ेक वायरस, स्टेरिलिटी मोज़ेक रोग

About the course

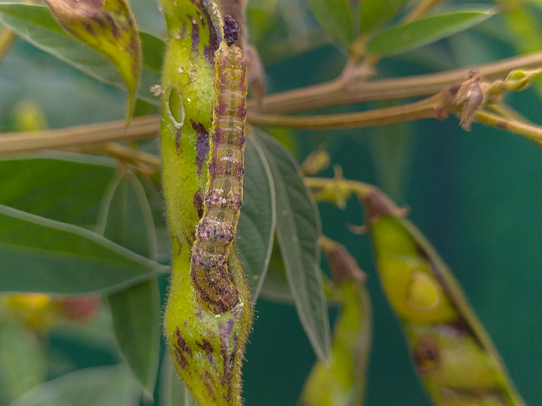
तुअर दाल में लगने वाले रोग:

तुअर दाल यानी अरहर दाल सेहत के लिए बहुत अच्छा है। क्योंकि इसमें सारे पोषक तत्व पाए जाते है, जो स्वस्थ शरीर के लिए जरूरी होता है। अरहर दाल प्रोटीन ,विटामिन, मिनरल और फाइबर से भरपूर होता है| साथ ही कैल्शियम, फॉस्फरस, मॅग्नेशियम, सल्फर और पोटेशियम जैसे खनिजों का अच्छा स्त्रोत है| तुअर दाल सेहत के लिए फायदेमंद तो है ही,अगर इस
की पैदावार अच्छी हो जाए तो बंपर मुनाफा भी है।और कहीं रोग लग जाएं तो भारी नुकसान। अगर समय पर तुअर दाल के रोगों की पहचान हो जाए तो उनका निदान भी हो सकता है, और भारी नुकसान से बचा जा सकता है।

 

उपरोक्त सभी बातों को ध्यान में रखते हुए, कृषि ज्ञान कोष  खेती और किसानों से जुड़ी आवश्यकताओं को देखते हुए किसानों के जरूरतों के आधार पर यह ऑनलाइन शॉर्ट टर्म कोर्स शुरू किया हैं।  जिसे आप कहीं भी कभी भी खेती से जुड़े कोर्स कर सकते हैं।

 

इस कोर्स से आप सीखेंगे:

  • अरहर दाल में लगने वाले रोगों की पहचान करना।
  • सही समय पर उपचार करना।
  • अरहर दाल रोगों के लक्ष्य पहचानना।
  • सही समय पर लक्षण की पहचान कर उपचार करना, जिससे नुकसान से बचा जा सके।
 

कृषि ज्ञान कोष प्रशिक्षण उद्देश्य:

कृषि ज्ञान कोष के दृष्टिकोण से, प्रशिक्षण के मुख्य उद्देश्य

 

जागरूक करना

कृषि ज्ञान कोष एक ऑनलाइन शिक्षण प्लेटफॉर्म है। जिसे कृषि उद्यमियों, किसानों, युवा बेरोजगार किसानों को ध्यान में रखते हुए बनाया गया है। हम टेक्निकल और पारंपरिक खेती करने की संपूर्ण जानकारी देते है। जिससे कृषि क्षेत्र जुड़े लोग जागरूक रह सके।

कौशल  बढ़ाना

कृषि ज्ञान कोष वक्त के साथ कदम से कदम मिलाकर चलने पर विश्वास रखता है। इसीलिए हम कृषि क्षेत्र में एक से अधिक क्षेत्रों में काम करने के लिए किसानों का हमेशा कौशल बढ़ाते रहते हैं।

प्रोत्साहन बढ़ाना

हम कृषि क्षेत्र से जुड़े लोगों को प्रोत्साहन बढ़ाने के लिए ऑनलाइन प्रमाणपत्र प्रदान करते है ,जिन्होंने हमारा पाठ्यक्रम पूरा कर लिया है।

उत्पादन बढ़ाना

हमारा उद्देश्य कृषिकों को खेती से जुड़े विधियों, बुनियादी आवश्यकताओं, विभिन्न कृषि पारंपरिक और नई तकनीक नवाचारों के साथ स्मार्ट खेती के बारे में सही जानकारी देना है, जिससे उत्पादन अधिक से अधिक हो सके।

लागत कम करना

कई बार किसान को फसलों के होने वाले रोगों की पहचान समय पर नहीं होती, और जब रोग का पता चलता है, तब तक फसल को काफी नुकसान पहुंच चुका होता है। ऐसे होने वाले नुकसान से बचाना और कम लागत में अधिक उपज बढ़ाना कृषि ज्ञान कोष का उद्देश्य है।

Syllabus

Reviews and Testimonials

Course Curriculum